News
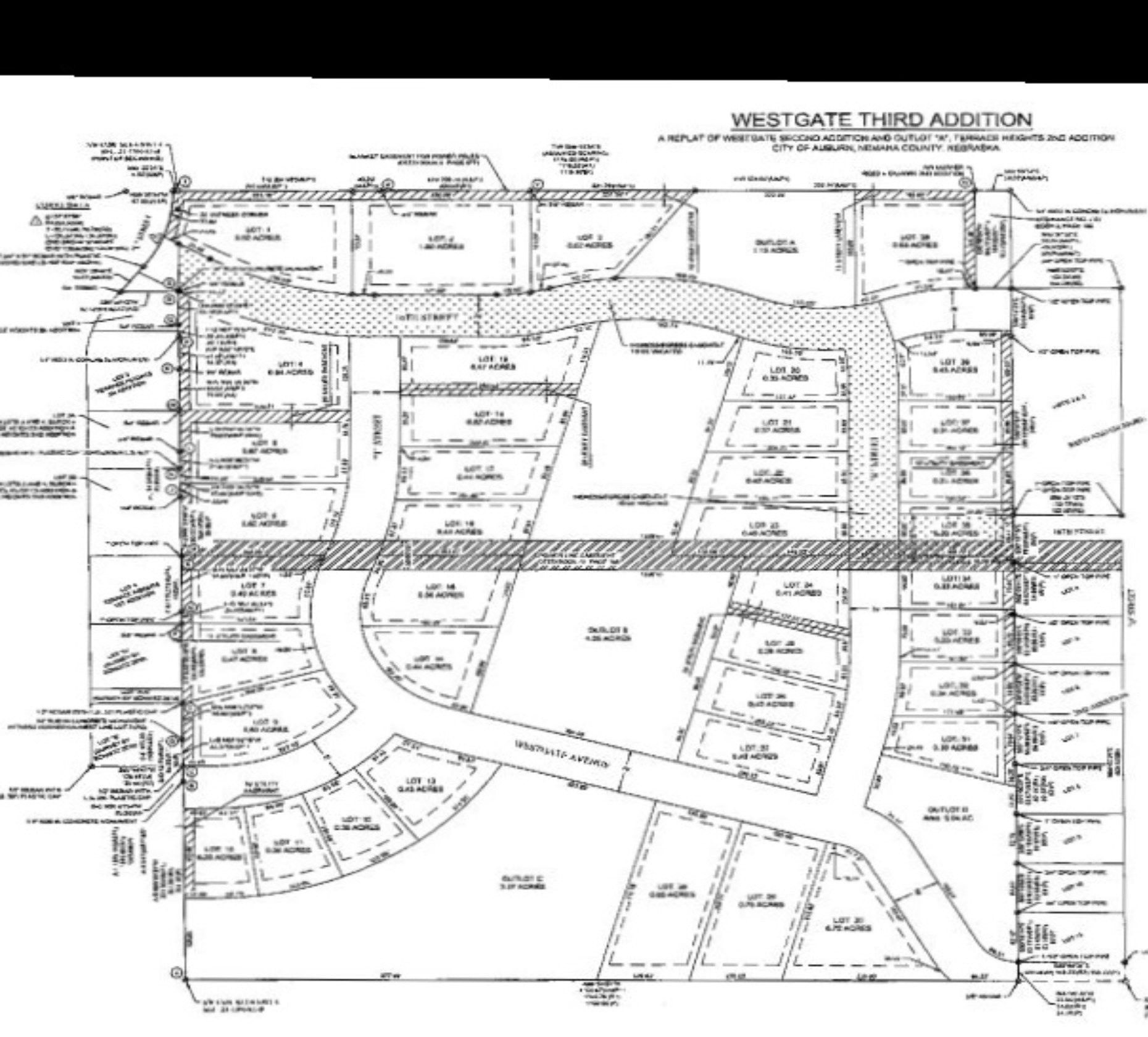
Council reviews Westgate housing plat
New houses could impact city's fireworks show

AUBURN – The Auburn City Council reviewed the plat map for the Westgate housing project and heard that it could impact the local fireworks show.
The addition includes 38 new lots with four access points to include new R and 16th streets, as well as Westgate Avenue.
Robert Lee Conner of the Auburn Eagles said new houses in portions of the development would impact the fireworks show.
He said the current location at Irvin Park and the Auburn High School is licensed for a maximum of 5” shells because of the proximity to houses. Auburn uses only four-inch shells because of a distance of 280 feet from a residence.
Conner said a new location for the fireworks would be needed as the Westgate housing development fills up.
